Ο Δήμος Πετρούπολης έχοντας πλήρη εικόνα των ελλείψεων του ως προς τις υφιστάμενες υποδομές και οραματιζόμενος την αναβάθμιση της ποιότητας ζωής των πολιτών του και τη βελτίωση των μετακινήσεων, πάντα με γνώμονα την ασφάλεια των διερχόμενων πεζών (ειδικά των μαθητών και των συνοδών τους αλλά και ατόμων ΑΜΕΑ), καθώς επίσης και την περιβαλλοντική ευαισθητοποίηση, προχωρά στην εκπόνηση Σχεδίου Βιώσιμης Αστικής Κινητικότητας (ΣΒΑΚ).
Το έργο «Δημιουργία δρόμων ήπιας κυκλοφορίας και ποδηλατοδρόμων» χρηματοδοτείται από το Ευρωπαϊκό Ταμείο Περιφερειακής Ανάπτυξης (ΕΤΠΑ) και από εθνικούς πόρους. Φορέας Χρηματοδότησης του Έργου είναι η Περιφέρεια Αττικής, η οποία στηρίζει χρηματοδοτικά τις ΟΧΕ/ΒΑΑ που εντάσσονται χωρικά στην αρμοδιότητά της, μέσω του Ε.Π. «Αττική 2014-2020».
Όλες οι εργασίες θα είναι σύμφωνες ως προς τα υλικά, τον τρόπο κατασκευής, τον έλεγχο ποιότητας και την επιμέτρηση με τις αντίστοιχες πρότυπες τεχνικές προδιαγραφές και τους ισχύοντες κανονισμούς.
Μερικές από τις εργασίες αυτές είναι οι εξής: κατασκευή πλακοστρώσεων, εργασίες ασφαλτόστρωσης, κατασκευή φρεατίων υδροσυλλογής, εργασίες τοποθέτησης δικτύου ηλεκτροφωτισμού, κοπή και εκρίζωση δέντρων, μεταφυτεύσεις και φυτεύσεις νέων δέντρων, τοποθέτηση οριζόντιας και κατακόρυφης σήμανσης οδού κ.α..
Με το έργο αυτό οι οδοί θα αποκτήσουν μια ήπια μορφή κυκλοφορίας και θα είναι σύμφωνες με τις νέες τάσεις στην κινητικότητα εντός πόλεων, ώστε να λειτουργούν προς μεγαλύτερο όφελος των πεζών και των ποδηλατών.
Επιπλέον θα διευκολυνθεί η κίνηση των ΑΜΕΑ, και ταυτόχρονα θα υπάρχει επαρκής σηματοδότηση για την ύπαρξη σχολείων ώστε να μην αναπτύσσουν μεγάλες ταχύτητες τα διερχόμενα οχήματα.
Η διαπλάτυνση των πεζοδρομίων, η κατασκευή νέου δικτύου ηλεκτροφωτισμού, η δημιουργία ποδηλατοδρόμων, καθώς επίσης και η τοποθέτηση προειδοποιητικών σημάνσεων, θα διευκολύνουν τις μετακινήσεις των δημοτών μας.
Τέλος οι συνδυασμοί φυτεύσεων των υφιστάμενων δέντρων, θάμνων και φυτών, αλλά και των νέων ειδών δέντρων, που θα ανταποκρίνονται στις νέες περιβαλλοντικές απαιτήσεις και στις αρχές του βιοκλιματικού σχεδιασμού, που σέβονται το περιβάλλον και τον άνθρωπο, θα συμβάλλουν στη διατήρηση της φυσικής ισορροπίας του συνόλου και τη βελτίωση του μικροκλίματος της περιοχής, αποτελώντας πηγές φυσικής δροσιάς για τους καλοκαιρινούς μήνες και ενισχύοντας παράλληλα την κοινωνικοποίηση των πολιτών.
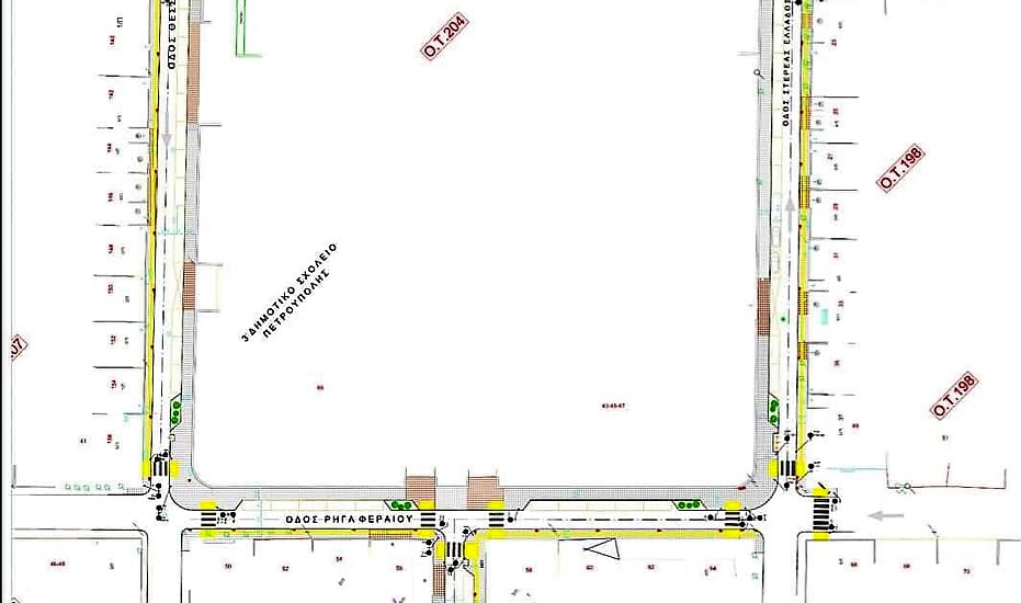
Λόγω της επικείμενης έναρξης των εργασιών του έργου: «Δημιουργία δρόμων ήπιας κυκλοφορίας και ποδηλατοδρόμων» , οι δημότες τα κτίρια των οποίων βρίσκονται στην περιοχή της ανάπλασης:
- επί της οδού Αρχιπελάγους (από Σκουφά έως Ρήγα Φεραίου)
- επί της οδού Ρήγα Φεραίου (από Στερεάς Ελλάδος έως Θεσσαλίας)
- επί της οδού Στερεάς Ελλάδος (από Ρήγα Φεραίου έως Ανατολικής Ρωμυλίας)
- επί της οδού Θεσσαλίας (από Ρήγα Φεραίου έως Ανατολικής Ρωμυλίας)
και σκοπεύουν να συνδεθούν με τα δίκτυα κοινής ωφέλειας (Φυσικό Αέριο, ΔΕΗ, ΕΥΔΑΠ, ΟΤΕ κ.λ.π.), παρακαλούνται να το πράξουν άμεσα, γιατί μετά την ολοκλήρωση του έργου και μέχρι την οριστική παραλαβή του, ο Δήμος δεν θα δύναται να εκδίδει άδειες για οποιαδήποτε σύνδεση.


